Dentro de las actividades para preparar la Feria de las Ciencias, solemos hacer una visita a centros especializados de lazona.

Este año uno de los temas que llevamos es el crecimiento de las semillas. Nada mejor para nuestra investigación que ir a una de las muchas empresas de semillaros que hay en la provincia de Almería. En concreto visitamos los semilleros VITALPLANT.

Lo primero que queremos es agradecer a José y a Asensio su atención y su explicación sobre todo el proceso que siguen las semillas. Se nota que es gente que vive lo que hace y lo transmite a los demás. Aprendimos mucho y la explicación fue sencilla y completa, esto es difícil pero lo consiguieron.

14semillero01

 

 

Voy a poner un pequeño resumen de lo que vimos, aunque el alumnado va a subir la explicación con más detalle en los próximos días.:

1. Empezamos viendo los envases que, antes de ser utilizados son desinfectados

 14semillero02

2. Después mediante una máquina neumática cada semilla cae en su lugar

 14semillero03

3. A continuación se hidratan

 14semillero04

4. Pasan a la cámara de germinación donde estarán entre 2 y 5 días

 14semillero05

5. Vemos una semilla que empieza a germinar

 14semillero06

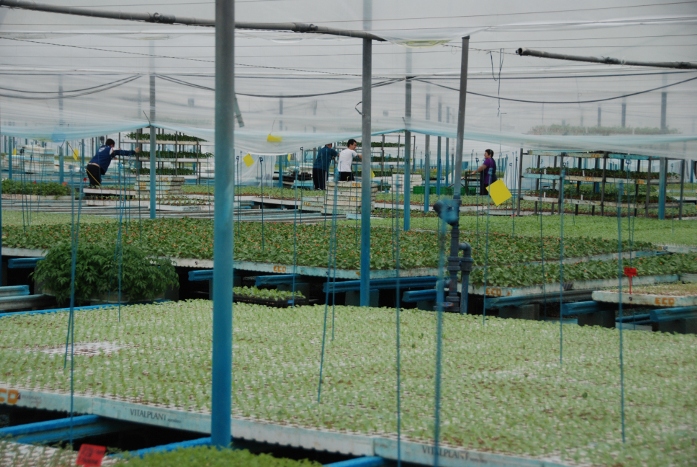
6. De aquí, una vez germinadas pasan al invernadero donde se produce su cremiento

 14semillero07

14semillero09

14semillero10

14semillero11

7. Por último visitamos el invernadero de Juan, que nos permitió ver el final del proceso, cuando las plantas llegan a su lugar de crecimiento, en este caso tienen unos 5 días puestas.

 14semillero12

14semillero13

 

No podemos olvidar, además, la atención de la gente de Almería Acoge con nuestros alumnos y alumnos, bueno y con los profes, nos dieron un buen desayuno y nos explicaron su trabajo entre invernaderos.